Das Jahr im Weinberg
„Weit über Deutsches Land ist unser Wein bekannt.“
Auf über 300 Hektar wachsen unsere weltberühmten Weine Apotheke und Altärchen. Bei unseren Winzern können Sie selbsterzeugte Weine probieren und genießen. Viele Winzerbetriebe verfügen über moderne Gästezimmer.
Januar/Februar
Winterstarre im Weinberg

In den Wintermonaten, vornehmlich im Januar und Februar, wird die Rebe geschnitten und gebunden. Ein bis zwei Bögen bzw. Ruten des zweijährigen Holzes bilden die Grundlage für das neue Wachstum.
März
Das Leben kehrt zurück

Die Frühlingssonne erwärmt die Reben und regt die Bildung des Pflanzensaftes an. An den frischen Schnittstellen hängt ein Tropfen - man sagt: die Rebe blutet.
März / April
Die Knospen schwellen

Durch längere und wärmere Tage bedingt, schwellen die Knospen an den Augen der Reben und warten auf ihre Entfaltung.
Mai
Austrieb des ersten Grüns

Die Knospen haben Austriebe hervorgebracht, die zu kräftigen jungen Reben werden und die Früchte tragen werden.
Mai / Juni
Gescheine, erster Fruchtansatz

Kräftige Gescheine sind jetzt in den Weinbergen zu sehen. Nun muss das Wetter der Rebe hold sein, damit sie schadlos zum Blühen kommt.
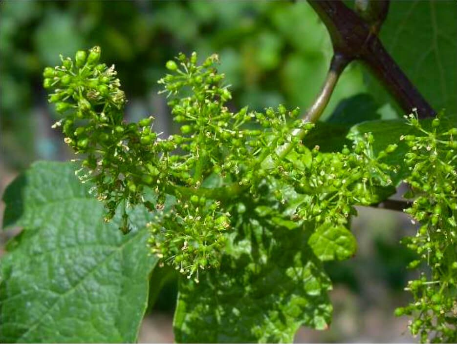
Mitte Juni
Kurz vor der Blüte der Traube

Die Rebe zeigt stolz ihre Gescheine, die kurz vor der Blüte stehen. Jetzt muss die Sonne kräftig scheinen, damit die Blüte durchkommt.
Juni
Traubenblüte

Hier steht die Rebe in voller Blüte. Es legt sich ein wunderbarer Duft über das Moseltal und lockt die Bienen zum Bestäuben an.
Juli / August
Traube

Nun spricht man nicht mehr von Gescheinen, sondern von der Traube. Die Beeren werden dicker und kommen in den Wein, wie der Winzer zu sagen pflegt.
September
Traubenreifung

Im September hat die Rebe das erste Reifestadium erreicht. Doch um einen guten Wein hervorzubringen, brauchen die Früchte noch viel goldene Herbstsonne.
Oktober
Optimaler Reifezustand

Nun präsentiert die Rebe stolz ihre goldgelben Früchte, die den Winzern viel Freude machen, werden sie doch, nachdem der Winzer jeden Rebstock dreizehn Mal bearbeitet hat, Ende Oktober bis in den November hinein geerntet.
Die Mühe des Winzers hat sich gelohnt!